作者:上海计划资本
川沙的小伙伴留意啦~
你家四周行将新建一条门路——
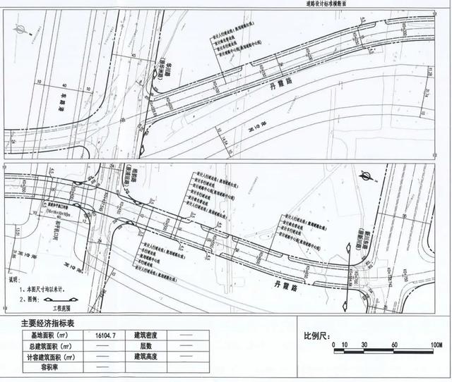
川沙“城中村”丹霞路(华川路—新川东路)
相关详情一路来看一下~
川沙“城中村”丹霞路(华川路—新川东路)门路新建工程
扶植单元称号:上海国际旅游度假区川沙开辟扶植有限公司

公示图
计划门路红线宽:24米
长度:666.15米

计划用空中积:16104.7平方米
计划范围:丹霞路北起新川东路,南至华川路
结果图

此次新建门路将毗连起
华川路和新川东路,
进一步方便川沙“城中村”
四周居民的出行。
期待门路的早日建成!
(来历:浦东新区计划资本局) |